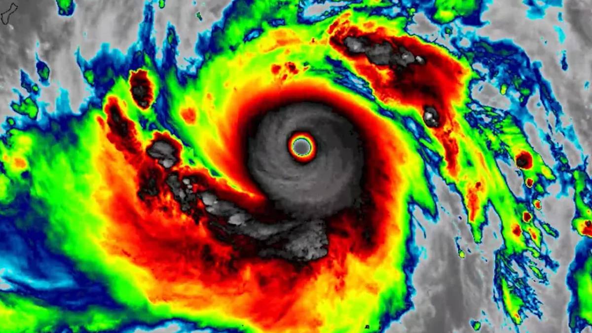
Sinlaku Tayfunu Kategori 5'e yaklaştı: Bölge ülkeleri alarma geçti

Meteoroloji verilerine göre Sinlaku Tayfunu kısa sürede güçlenerek saatte 290 kilometreye ulaşan rüzgâr hızlarıyla Kategori 4–5 seviyesine yaklaştı. Kuzey Mariana Adaları başta olmak üzere Guam ve çevresinde sel, dev dalga ve şiddetli fırtına riski nedeniyle uyarılar artırılırken, bölgede tahliye ve acil durum hazırlıkları başlatıldı.

Sinlaku Tayfunu Kategori 5'e yaklaştı: Bölge ülkeleri alarma geçti
13 Nisan 2026 - 21:43 - Güncelleme: 13 Nisan 2026 - 22:03

Meteoroloji verilerine göre Sinlaku Tayfunu kısa sürede olağanüstü bir güç kazanarak saatte 250–290 kilometreye ulaşan rüzgâr hızlarına çıktı. Bu değerlerin, tayfunu Kategori 4 seviyesinin üzerine taşıyarak yer yer Kategori 5 şiddetine yaklaştırdığı bildirildi.

Tayfunun rotasında Kuzey Mariana Adaları yer alırken, özellikle Tinian ve Saipan bölgelerinde yaşayan binlerce kişi için ciddi risk oluştuğu belirtildi. Guam için de uyarıların yapıldığı aktarıldı. Yetkililer, tayfunun önümüzdeki günlerde etkisini artırarak bölgeye ulaşmasının beklendiğini ifade etti.

Görsel

Uzmanlar, fırtınanın yalnızca şiddetli rüzgârlarla değil, beraberinde getireceği yoğun yağış ve dev dalgalarla da büyük tehlike oluşturduğunu vurguladı. Bazı bölgelerde yüzlerce milimetreyi bulabilecek yağışın sel, toprak kayması ve ciddi altyapı hasarına yol açabileceği kaydedildi.

Görsel

Bölge yetkilileri, tayfun nedeniyle uçuşların iptal edildiğini, okulların kapatıldığını ve acil durum hazırlıklarının başlatıldığını açıkladı. Kıyı kesimlerinde yaşayanlardan ise tahliye planlarına hazır olmaları istendi.

Bilim insanları, Sinlaku’nun bu kadar erken dönemde bu seviyeye ulaşmasının alışılmadık olduğunu belirterek, normalde tayfun sezonunun yaz aylarında yoğunlaştığına dikkat çekti. Nisan ayında bu şiddette bir fırtınanın görülmesinin endişe verici olduğu ifade edildi.

Uzmanlar, tayfunun rotasında küçük değişiklikler olabileceğini ancak genel riskin yüksek seyrini koruduğunu belirterek, bölge halkının resmi uyarıları yakından takip etmesi gerektiğini vurguladı.

YORUMLAR

  • 0 Yorum

https://www.alexa.com/siteinfo/abdpost.com